
Du vil mærke forskellen
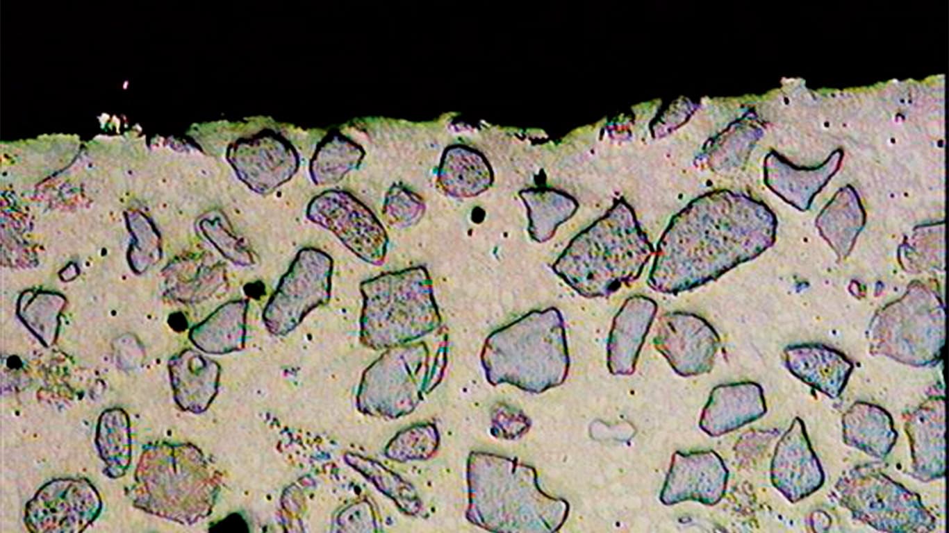
Vidste du, at originale John Deere knivcylinderknive har grovkornet tungstenscarbid-belægning af høj kvalitet med overlegen binding? Det er derfor de er mere vandresistente og holder længere end konkurrenten, der ligner dem til forveksling. Det betyder mindre vedligeholdelse og lavere driftsomkostninger.
Knivcylinderen spiller en afgørende rolle for finsnitterens ydeevne. Det er derfor, at det er vigtigt at vælge knive, der passer, fungerer og holder længe. John Deere´s knivcylindre er skabt til holdbarhed og høj ydeevne – og fremstillet specielt til din John Deere finsnitter.


Originale John Deere knive holder sig skarpere længere. Den solide tungsten-karbidbelægning er ensbetydende med snittepræstationer af høj kvalitet, længere levetid og lavere brændstofforbrug.

Vi anvender fire rækker af knive, som trækkes ind, når de kommer i kontakt med fremmedlegemer. Udformningen beskytter rotoren mod beskadigelse og reducerer nedetid.

Monter Dura Line græsknive med 33% bredere belægning på snittefladen på finsnitteren i 7000 serien for at forlænge levetiden. De er standardudstyr på 8000 serien.